TO LET, subject to Vacant Possession - individually or as one

 

Summary

  • Bristol has a resident population of over 450,000 people, boosted by singificant numbers of students and tourists. Park Street is an all-day / evening trading pitch and with a vibrant mix of local, regional, and national retailers, bars and cafes.
  • The premises are well-located on Park Street, between Charlotte Street and Great George Street (both leading to attractions including Cabot Tower, Brandon Hill Park, and St George's Hall).
  • Situated amongst popular independent businesses, including Mrs Potts Chocolate House and new Scandi-style cafe Gather, opposite Nandos and Rip Curl.
  • Notable retailers in the vicinity include Patagonia, Jigsaw, Fred Perry, Jimmy Fairly, Ollie Quinn, and Finisterre, with Vivobarefoot opening soon.
  • The premises are potentially available to let as an individual unit.

Accommodation

The accommodation comprises the following areas:

Namesq ftsq mRentAvailability
Ground - 54 Park St (RHS) 903 83.89 £39,250 /annum Under Offer
Ground - 54a Park St (LHS) 667 61.97 £26,500 /annum Under Offer
54 & 54a Park Street - Google Screenshot  marked up  v1.jpg

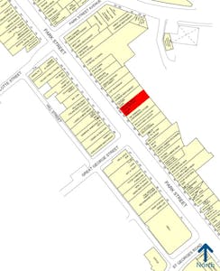
Location

Located in the middle section of the vibrant Park Street, amongst a range of leisure and retail occupiers, including Taste of Napoli, Gin & Juice and Cass Art.

Get directions from Google Maps

Further Information

Rent £26,500 - £59,000 per annum . Rent is payable quarterly in advance and excludes service charge, buildings insurance, Business Rates, VAT, and all other occupational costs.

Rates Payable Rateable Value will be assessed following completion of the development works. Interested parties are advised to discuss with the local Ratings Authority if further information is required.

Service Charge There will be an annual service charge to cover a proportion of maintenance and management of the building, please contact the leasing agents to discuss further.

Estate Charge n/a


Description

The available premises are currently arranged as two shops. An extraction route can be provided, should an ingoing tenant need to install ducting.

Specifications

54 Park Street (the right-hand premises) is available in enhanced shell specification, with handover scheduled for Q4 2025.
54a Park Street (the left-hand premises) is now Under Offer.

Viewings

Please contact the leasing agents to discuss your business and arrange a viewing.

Terms

The premises will be available by way of a new lease on terms to be agreed. Please contact the letting agent to discuss your requirements.