Potential Residential Development Land // Conditional Contract Considered

 

Summary

  • Undeveloped, greenfield land
  • Extending to 2.25 ha (5.56 ac) or thereabouts
  • With access off Electric Station Road
  • Residential dwellings adjoining
  • Retained land for potential S.278 works
  • Relatively flat topography
  • Previously granted Outline Permission in 1995

Location

The land is located directly off Electric Station Road, approximately 1km (0.6 miles) to the west of Sleaford town centre and retail core. Residential dwellings adjacent the northern and eastern boundaries.

Sleaford is situated approximately 14 miles north east of Grantham, 18 miles south of Lincoln and 17 miles west of Boston.

Sleaford has seen significant growth over recent years with 1,450 homes proposed at Handley Chase (part way through delivery) along with a further 1,400 homes proposed as part of the ‘Western Growth Plan’

Get directions from Google Maps

Further Information

Price £1,200,000 Conditional Contract Considered

Rates Payable Upon Enquiry

Service Charge n/a

Estate Charge n/a

EPC Rating This property has been set as EPC exempt.
Reason: No building present


Description

A key strategic parcel of greenfield land extending to 2.25 ha (5.56 acres) considered suitable for residential development (STPP), less than 1km from Sleaford town centre. The site has access off Electric Station Road with land retained for S.278 works and residential dwellings adjoining.

Asking Price: £1,200,000 (freehold, with vacant possession) on a conditional basis.

Note, Title No LL104188 is available by separate negotiation.

The Sale

Freehold interest by private treaty with vacant possession:

Asking Price: £1,200,000

Furthermore, Title No LL104188 is available by separate negotiation.

Depending on levels of interest, the vendors and their agent reserve the right to invite best and final offers.

A conditional sale will be considered.

Local Planning Information

Local planning policy is govern by North Kesteven District Council and the site is located inside the Central Lincolnshire Local Plan, adopted in April 2023 and is currently being reviewed (early stages).

The site has previously benefit from outline planning permission for residential development dated 2nd October 1995 under planning ref: 95/0106/OUT.

Links to these useful websites can be found on our brochure.

Services

No services are directly connected to the site; however we have been made aware that they are within close proximity.

Wayleaves, Easement & Rights of Way

The property is sold subject to and with the benefit of all rights of way, light, support, drainage, services, easements, quasi-easements, and wayleaves, whether or not mentioned in these particulars.

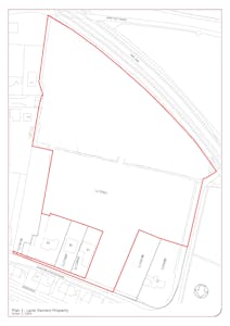
Plans

All plans and areas are provided in good faith for illustrative purposes. Their accuracy is not guaranteed. Purchasers will be deemed to have satisfied themselves regarding boundaries.

Viewings

Prospective purchasers wishing to view the property should make an appointment through the selling agents. Those wishing to view the property do so at their own risk.

Videos