TO LET - Mixed Use development Scheme - Industrial / Logistics Hub

 

Summary

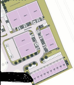
  • Industrial / Logistics Hub
  • Four terraces of 17 units totalling 41,049 sq ft
  • Mix of starter workshops and warehouse units
  • The industrial units will benefit from shopfront, car parking and bin storage areas