Summary

Property Type Industrial/Logistics / Industrial / Industrial / Storage / Industrial / Warehouse / Trade Counter / Trade Counter / Showroom / Warehouse
Tenure To Let / For Sale
Size 11,431 to 16,017 sq ft
Price Offers in the region of £2,100,000
Rent £13 per sq ft
Rates Payable £2.58 per sq ft
Service Charge Upon application
Estate Charge Upon application
EPC Rating This property has been graded as C (57)
  • Large secure yard and parking area
  • Clear eaves height 4.8m (8.8m at apex)
  • Part income producing.
  • Two electric roller shutter loading doors
  • Refurbished ancillary office content with kitchen and WCs
  • Easy walking distance to local amenities

About

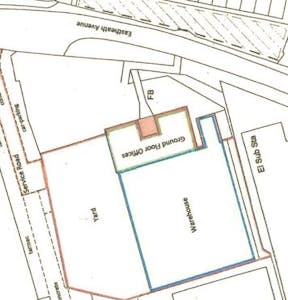
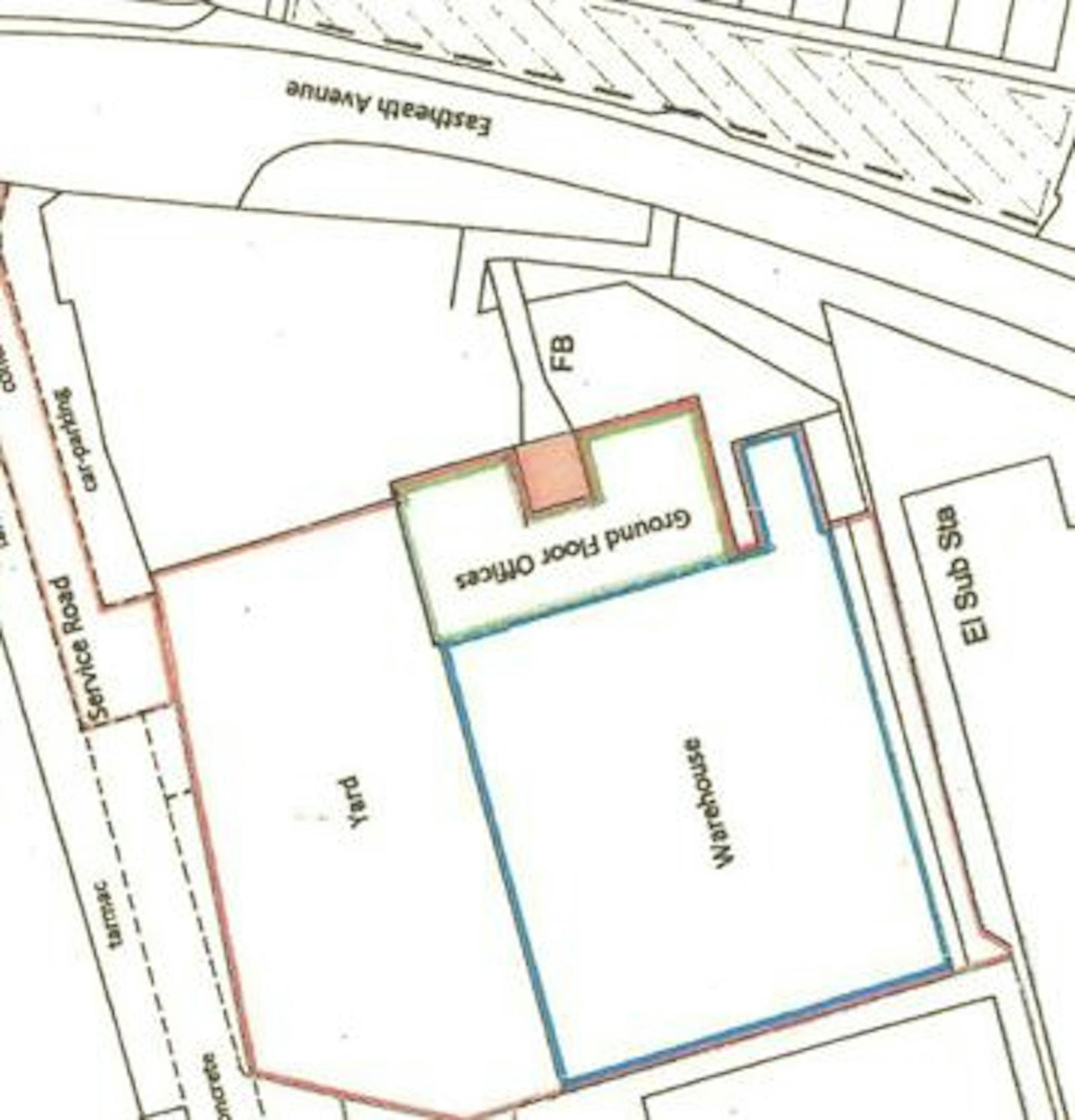
The property comprises a warehouse with large secure yard alongside a three storey office building with generous parking. The ground floor warehouse and office content are currently vacant and available for occupation. The warehouse offers clear, column free space with an eaves height of 4.8m rising to 8.8m at apex and two electric roller shutter loading doors. The ground floor ancillary offices are of good quality and include a recently refurbished open plan kitchen/breakout area. The secure yard extends to approx. 0.2acres.

Eastheath House, Wokingham, Industrial/Logistics / Industrial / Industrial / Storage / Industrial / Warehouse / Trade Counter / Trade Counter / Showroom / Warehouse To Let / For Sale - 1000007803.jpg

Accommodation

Namesq ftsq mAvailability
Ground - Office and Industrial 11,431 1,061.97 Available
Unit - Whole - Eastheath House 16,017 1,488.03 Available

Location

The subject property is located just off Molly Millars Lane, the property is within easy reach of Wokingham town centre, local amenities and excellent transport links. Wokingham train station, which provides regular train services to London Waterloo and Reading, is a short walk away.

Get directions from Google Maps

Eastheath House - 1000007787.jpg

Further Information

  • Viewings

    Strictly by prior arrangement with the sole agents Hicks Baker.

  • Terms

    Leasehold - A new lease of the warehouse and ancillary ground floor offices is available from the landlord at a rent of £13.00 per sq.ft.
    Freehold - Alternatively, a freehold sale of the whole property will also be considered. The landlord will consider offers in the region of £2,100,000.

    The first and second floor offices are currently let on a five year lease on effective FRI terms expiring in July 2029. There is a tenant only break in July 2027. The rent passing is £54,720 per annum. Further details are available upon request.